Langmuir turbulence

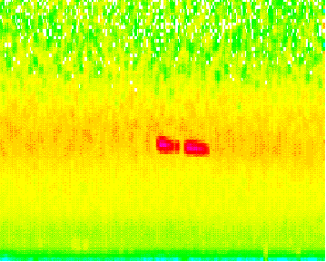
The effect of high power HF waves from EISCAT's newly acquired ionospheric Heating facility can clrearly be seen on the back scattered power from the F-region measured with the VHF radar during the operation of CP-7-E on 19 May 1993. The dark red lines shows strongly enhanced back scatter at a height of 213 km measured on one of the power profile channels, while the other colours show the electron density from 75 to 450. km for a half hour interval starting at 11 UT. The strong signal appears at the height where the 5.4 MHz HF waves from the Heating facility are reflected from the F-region, allowing an accurate calibration of the radar-derived densities during Common as well as Special Programmes. Understanding the physical mechanism behind such heater-enhanced signals is an active area of research as described further together with other results from the Heating facility.